MIAMI, 7 de out de 2016 às 14:00
O furacão Matthew, que causou a morte de centenas de pessoas ao passar pelo Caribe, chegou à península da Flórida na manhã de desta sexta-feira. Ante o perigo, a Arquidiocese de Miami propôs uma oração para pedir a Deus “bondade e vida”, que envie os seus anjos “para nos cuidar e nos guardar”.
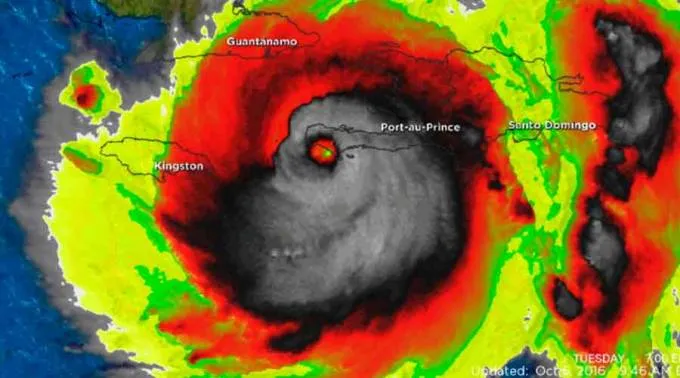
Sinister-looking face of #HurricaneMatthew at landfall in #Haiti [Un-doctored #weather #satellite image] pic.twitter.com/hrviDVuJ3R
— Stu Ostro (@StuOstro) 4 de outubro de 2016
Em uma publicação em sua página de Facebook, a Arquidiocese de Miami publicou a seguinte oração:
Deus do céu e da terra,
Deus que carrega nossas vidas e as vidas
de toda a nossa comunidade em suas mãos,
permanece conosco no perigo deste dia/noite.
Ajuda-nos a libertar-nos das nossas ansiedades e temores
nessas mesmas mãos cuidadosas,
Conscientes na fé de que a Tua vontade para nós é
a vida e o bem perpétuo.
Receba as principais de ACI Digital por WhatsApp e Telegram
Está cada vez mais difícil ver notícias católicas nas redes sociais. Inscreva-se hoje mesmo em nossos canais gratuitos:
Envia os teus santos anjos a nos cuidar e nos guardar.
Que eles possam abrir suas santas asas
para nos acolher contra a tormenta.
Porque só o Senhor, Oh Deus, é a bondade, a vida, o amor,
e esse amor é transmitido para nós;
através de Jesus Cristo Nosso Senhor.
Matthew, furacão de categoria 4, poderia atingir duas vezes a costa atlântica americana. As autoridades exortaram mais de 2 milhões de pessoas a abandonarem seus lares na costa da Flórida, Geórgia e Carolina do Sul.
Nos últimos dias, o furacão atingiu diversos países como Haiti e Bahamas, causando cerca de 113 vítimas mortais.
Em uma de suas advertências do dia 6 de outubro, o governador do estado da Flórida, Rick Scott, assegurou que a ameaça “é séria”.
“É necessária a evacuação de seus lares e não o fizeram, evacuem. Esta tormenta os matará. O tempo está acabando. Não temos muito tempo”, disse.
Além disso, o Arcebispado de Miami anunciou que as escolas católicas da arquidiocese e o centro pastoral arquidiocesano permaneceriam fechados até o hoje.


